2048 poze   68636 vizite
Albume
1 Pomicultura - Altoiri - ETC   2014 Evolutii_Involutii si Altoiri      10 octombrie      12 decembrie      3 Martie 14         semicopulatie perfectionata      4 Aprilie 14      5 Mai 14         MViteazul      6 iunie         lamai altoit      7 iulie      8 august      9 septembrie      Altoiri de primavara la masa - Spring benchgrafting 2014      TAIERI DE FORMARE COROANA - forming cuts trees branches   2014 Quod Erat Demonstrandum QED   2015 anul      1 ianuarie      2 februarie      3 martie      4 aprilie      5 mai      6 iunie 15      7 iulie 15   2016      ianuarie   Aaa Evolutie cais pe corcodus 2012-2015   Aab Evolutie mar 2012-2015   Aac evolutie mar 2 2012-2013-2014   Aad Evolutie piersic 2013-2014   Aae Evolutie piersic 2 2013-2014   Aaf Evolutie piersic 3 2012-2014   Aa_ altoiri 2012 -evolutii-probleme   Ab_ altoiri 2013 -evolutii-probleme   Altoiri de toamna - Grafting autumn      chip prelungit   Ce soiuri sunt   Copulatie perfectionata - semicopulatie perfectionata   Probleme pomi - fructe   Scule -ustensile- folositoarre pentru altoiri- taieri      Etichete pentru altoi - reciclabile2 DE PE LA TARA   1 mini pepiniera_ livada la CalarasiVechi   a Pepinierea - mar   b Paulownia tomentosa2018 Germinare lamai 22018 Germinare lamai Samanta 120193 Paducel-Gherghinar4 Productie fructe   caise   capsuni   Gutui   mere   piersiciYoutube

membru din 21 decembrie 2011

Probleme pomi - fructe

pentru cunoscatorii din bransa....
youtu.be/EZPGFUrUzv0;
youtu.be/bP7EnqFGnuI.
sfrederitorul ramurilor; ramura- afectiune
sfrederitorul ramurilor
sfrederitorul ramurilor; descoperirea intrusului
sfrederitorul ramurilor
erwinia amylovora-foc bacterian; DESCOPERIT LA TIMP
erwinia amylovora-foc bacterian
erwinia amylovora-foc bacterian sau cicade
erwinia amylovora-foc bacterian sau cicade
RAPAN - PAR
RAPAN - PAR
RAPAN
RAPAN
Rapan
Rapan
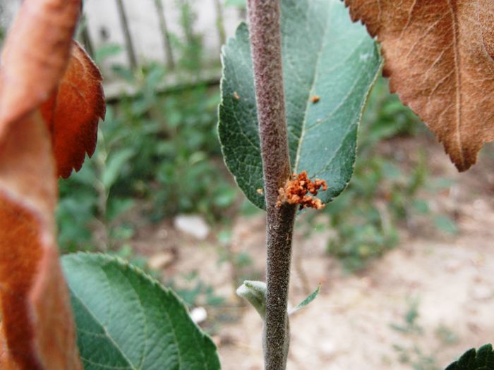
sfrederitorul ramurilor; punctul de intrare
sfrederitorul ramurilor
sfrederitorul ramurilor; per ansamblu
sfrederitorul ramurilor
sfrederitorul ramurilor; ansamblu
sfrederitorul ramurilor
sfrederitorul ramurilor; intrare in mugur
sfrederitorul ramurilor
sfrederitorul ramurilor; intrare
sfrederitorul ramurilor

Comentarii album • 19
Nume:



anonim
leu 22 noiembrie 2014  
cu ce se trateaza sferedelitorul la visin?
multumesc
Răspunde Raportează
puiudeep 22 noiembrie 2014  
Cu calypso concentrat, o fiola la 1l apa. Bagi in gaura superioara lichidul cu sernga, te uiti sa vezi pe unde iese si astupi acea gaura, guma de mestecat, coca, clei etc. Dupa ce ii dai sa se sature astuipi si gaura pe unde ai introdus lichidul.
Asa am facu eu.
Răspunde Raportează
notaxe 20 octombrie 2014  
"..si?"...nu ti-ajunge!!?? :))
Răspunde Raportează
puiudeep 20 octombrie 2014  
vazuta ca o arta :))))))))))))
Răspunde Raportează
puiudeep 20 octombrie 2014  
:)))))))))))
Răspunde Raportează
bancho 23 septembrie 2014  
La piersicul ala cloroza pare ferica...prea multa apa in sol cauzeaza fenomenul de gleizare...saracire in ioni de Fe.
Daca nu merge cu Cropmax sau Bionat...merge cu imbunatatit drenajul solului..eventual mutat pomul."Peaches don't like wett feet"...am incheiat citatul:)
Răspunde Raportează
puiudeep 23 septembrie 2014  
multumes pentru interventie.
Răspunde Raportează
bancho 23 septembrie 2014  
La gutui e Nectria Galigena..cancerul deschis al ramurii(Perenial Canker) sau 'gura de lup' polular:)...pasta de Funguran...sau Triumf...sau Champ..ceva cupric...facut ca nesul...stii tu.E specifica livezilor neglijate.
La nuc e o viaspe galicola...face niste gale in frunza unde sunt depuse oua.
La visinul acela...frunzele par atacate de Cocomices Hiemalis sau Blumeriela Jaapi...Dithane si e ok.
Bafta
Răspunde Raportează
puiudeep 23 septembrie 2014  
multumesc!
Răspunde Raportează
notaxe 10 iunie 2014  
la cata apa "le-ai" dat..acum stii.:)
Răspunde Raportează
puiudeep 10 iunie 2014  
Nu am intalnit pana acum asa ceva. Chiar daca banuiam ca ploile ar putea fi de vina.
Multumesc pentru interventie.
Răspunde Raportează
notaxe 7 mai 2014  
sunt doi "sfredelitori"...:))
zeuzera pyrina al ramurilor..
si cossus cossus...al tulpinii
Răspunde Raportează
danero2004 6 aprilie 2014  
Afide in aprilie ?

La restul nu ma pronunt dar stiu ca e ca si la oameni , medicamentele nu vindeca ci doar "amelioreaza" simptomele
Răspunde Raportează
puiudeep 6 aprilie 2014  
da dan

ero, doar pe frumzele de piersic rosu. vad bine.
Răspunde Raportează
danero2004 6 aprilie 2014  
eu am patit ceva straniu , am luat de la yurta 3 caisi , 2 au murit de la moniloza , explicatia a fost ca la noi e rece si umed si favorizeaza asa ceva

Pe de alta parte , noi tot sperand ca va da de undeva , nu am taiat deloc si am lasat pana in toamna cand am zis , gata , la afumat cu el...cand am taiat insa , portaltoiul era inca ...verde.

Natura asta....se pare ca portul a avut o alta dorinta. Patesc asta uneori la lamaii mei.
Răspunde Raportează
puiudeep 6 aprilie 2014  
si mie mi s-a intamplat sa se usuce crengute de cais, dar a fost de la frig, au degerat iarna.
Răspunde Raportează
ADRIAN71 20 decembrie 2013  
la cires pe visin ai facut altoirea prea sus portul gros si cred ca ai skimbat loku cand mai faci altoiri pe visin cu cires portul subtire si altoit la 15 cm de sol faci crapatura de la sud spre nord si bagi altoiul in partea se sud ok. daca portul a esit din sanbure faci altoirea mai sus 40 cm si toamna cand il scoti il bagi in pamant sa ramana cam 15 cm pana la altoi si nu uita sa tii cont ca altoiul sa fie catre sud ca in momentul altoiri
Răspunde Raportează
Trimite mesaj Înapoi Nu poți trimite un mesaj fără conținut! Nu este permisă folosirea de cod HTML in mesaje. Mesajul nu a fost trimis din motive de securitate. Va rugam sa ne contactati prin email pe adresa office@sunphoto.ro Mesajul nu a fost trimis din motive de posibil spam. Va rugam sa ne contactati prin email pe adresa office@sunphoto.ro Mesajul nu a fost trimis din motive de posibil spam. Ati trimis prea multe mesaje in ultimul timp. A apărut o eroare în timpul trimiterii mesajului. Vă rog încercați din nou. Mesajul a fost trimis.